





|
| UPDATE Oktober 2013 / Mai 2014 |
| >> neue Besitzer erzählen |
|
| Juli 2013 |
Unser Sorgenkind Lili hat ein wunderbares Zuhause gefunden.
Sie ist voller Lebensfreude und Energie und genießt ihr neues Leben in vollen Zügen.... |
|
| Juni 2013 |
| Name: |
Lili |
| Geboren: |
9/2012 |
| Farbe: |
weiss-braun |
| Geschlecht: |
weiblich, kastriert |
Besonder-
heiten: |
sozial, verspielt, menschenbezogen |
Verträglich-
keit: |
Hunde: ja
Katzen: ja |
Wohnungs-
haltung: |
|
| befindet sich: |
Pflegestelle bei Freiburg |
|
| beendeter Spendenaufruf
für Lili |
| Die Tierarztkosten werden bei einigen hundert Euro liegen |
| Lili hat 505 EUR erhalten |
| Danke an Frau Gerteisen, Frau Dörfler, Frau Lautenbacher, Frau Kleinjohann, Frau Wiggenhauser, Herr Wondrak, Herr Schürmann, Frau Schreijäg, Frau Rössner u. Frau Strasser |
| Spendenkonto |
|
Lili hat es geschafft - sie ist über den Berg!
Die weiteren Untersuchungen in der Klinik haben einen sehr starken Lungenwurmbefall und dazu noch eine vermehrte Anzahl Giardien ergeben.
Mit dieser Diagnose und nach Empfehlung eines Parasitologen konnte Lili sofort mit den richtigen Medikamenten behandelt werden. Das kleine, zierliche Katzen-Mädchen hätte diesen starken Parasitenbefall in den Organen - laut Aussagen der Ärzte - garantiert nicht überlebt, wäre sie nicht richtig diagnostiziert und entsprechend behandelt worden.
Der süßen Maus geht es von Tag zu Tag sichtlich besser. Die Atmung wird ruhiger, die Lungengeräusche hörbar weniger, Lili lebhafter, neugieriger. Sie fängt an zu spielen und genüßlich und entspannt in der Sonne zu liegen.
Mit Selbstgekochtem wird Lili auf der Pflegestelle verwöhnt und gepäppelt, ihr Appetit kommt zurück und sie hat mittlerweile die 2 kg Marke überschritten - sie hat gut 500 Gramm zugenommen, das tut ihr gut.
Es wird demnächst noch eine Nachuntersuchung stattfinden, um zu sehen, ob die 10-tägige Behandlung wiederholt werden muß. Aber die Ärzte sind sehr zufrieden mit der Entwicklung.
Lili darf aber schon ihr neues Leben genießen und möchte allen Spendern ein "großes und herzliches Dankeschön" sagen. DANKE, daß sie ihr geholfen haben, die Untersuchungen und die Behandlungen zu finanzieren. Ihr die Chance gegeben haben, zu leben.
Lili hat die Chance genutzt und ist bald startklar in ein endgültiges Zuhause.
Sie ist eine sehr soziale, verspielte, menschenbezogene Katze und würde sich sehr freuen, wenn sie Katzen-Gesellschaft in dem neuen Zuhause hätte, ihr größter Wunsch wäre ein Spielkamerad. Auch Hundegesellschaft hat sie sehr gerne.
|

|
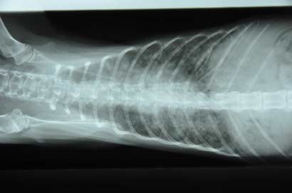
| Mai 2013 |
Wir haben Lili nochmal in der Klinik vorgestellt, da die bisherige medikamentöse Therapie nicht den gewünschten Erfolg gebracht hat.
Die Röntgenbilder zeigen einen deutlich veränderten Lungenbereich, was gut zu einer Bronchopneumonie passen würde. Die Klinik schlägt jedoch vor, noch abzuklären, ob evtl. Parasiten sprich Lungenwürmer involviert sind.
Die kleine Lili verhält sich bei allen Untersuchungen ganz tapfer, Lili will leben und wieder gesund werden.
Sie hat noch ihr ganzes Leben vor sich. Bitte helfen Sie ihr! |
|
| Mai 2013 |
Lili - dringender Notfall
Unsere kleine Lili-Maus hat uns die letzten Tage große Sorgen bereitet. Sie war apathisch, lag nur noch in der Ecke und hatte sehr große Probleme mit der Atmung.
Unser - gerade mal 1,6 kg schweres - Leichtgewicht musste vorsorglich in die Tierklinik zum Check eingeliefert werden. Die Untersuchungen sind noch nicht komplett abgeschlossen, aber anhand der Röntgenbilder konnte schon eine starke Lungenentzündung diagnostiziert werden. Lili musste sofort medizinisch versorgt werden, es war höchste Zeit.
Um Lili's Untersuchungen und die Behandlung zu ermöglichen, sind wir auf Ihre Spenden angewiesen und bitten in Namen von dem Schmusemonster um Ihre Mithilfe.
Lili braucht aber auch dringend eine Pflegestelle, wo sie während ihrer Behandlung und anschliessend betreut werden kann.
Sie ist verträglich mit Hunden und Katzen und ist eine absolut unkomplizierte, anhängliche kleine Kätzin. |
|
| Mai 2013 |
| Lili ist eine hübsche, sanfte, sehr freundliche Kätzin - sie wurde zusammen mit Carmen gefunden. |
  |
|
|
| Beachten Sie bitte, dass diese Seiten nicht
dazu gedacht sind, Tiere über das Internet
zu bestellen! Die Vermittlung der Tiere erfolgt
ausschließlich über die genannte Kontaktadresse
oder direkt über die Tierheime. Außerdem
beachten Sie bitte, dass wir bei der Beschreibung
der Tiere auf die Einschätzung der Vorbesitzer
oder Betreuer angewiesen sind und wir keine Gewähr
übernehmen können! |
|
|