













 
|
| UPDATE 7. März 2011 |
| Das Häufchen Elend aus der Tierklinik, nun Mr. Pomeroy, hat sich zu einem stattlichem hochbeinigen wunderschönen Kater entwickelt. Inzwischen hat er sogar ein kleines Bäuchlein bekommen, was wohl daran liegt, dass wir seinen nicht erklärbaren Durchfall endlich im Griff haben. Der selbstbewusste Katermann ist sehr lieb und sozial, hat aber auch eine Menge Flausen im Kopf Wenn er -mehrmals am Tag- seine "wilden 5 Minuten" hat, fegt er durch die Wohnung, jagt über das Sofa und räumt die Bücher aus dem Bücherregal. Ein völlig normaler Jungkater halt. Wir gehen davon aus, dass er doch um einiges jünger ist, als ursprünglich vermutet. Die vielen Projektile in seinem Körper bereiten ihm keinerlei Probleme, niemand, der ihn sieht, würde vermuten, dass auf ihn geschossen wurde. Der tapfere Schöne hat sich so in unser Herz geschlichen, dass wir ihn nicht mehr hergeben mögen. Folglich haben wir gebeten, ihn endgültig adoptieren zu dürfen und so ist Mr. Pomeroy nicht mehr auf der Suche nach einem Zuhause. Danke, dass wir Pomi übernehmen dürfen und wir freuen uns auf viele schöne Jahre mit ihm. |
|
| 8. Februar
2011 |
| beendeter Spendenaufruf
für Neurone |
| Die Behandlungskosten
liegen bei insgesamt 1202,40 EUR |
| Neurone hat 963,07
EUR erhalten |
| Danke
an Frau Leref. Frau Moeller. Frau
Siefermann, Frau Schultz, Frau Spindler,
Frau Strejcek, Frau Hoefs, Frau Willmann, Frau Schmidt, Fam. Wiggenhauser, Herr Rudolph, Fam. Zuckschwert, Frau Jünke, Frau Constaninescu |
| Spendenkonto |
Ein Bericht der Pflegestelle von Mr. Pomeroy:
Mr. Pomeroy ist nun fast ein ganz normaler Kater, gewichtsmässig hat er alles aufgeholt, er schnoddert nicht mehr und niest nur noch selten.
Aus dem träge auf der Couch liegendem Kerlchen hat sich eine vorwitzige verspielte neugierige Samtpfote entwickelt, die auch schon mal beim Futter mäkelt- ein Zeichen, dass es ihm gut geht. Auch die Krankenpflege konnten wir sehr einschränken, er bekommt nur noch die halbe Dosis Lysin, die er aber wohl noch lange, wenn nicht immer, brauchen wird, alle anderen Medikamente konnten wir absetzen. Sehr zu Pomis Freude, denn je fitter er wurde, desto doofer fand er Medikamente und Pflege ;-)
Geblieben ist uns noch sein Durchfall, gegen den wir eine Darmsanierung ins Futter geben, bisher allerdings mit wenig Erfolg. Eine Kotprobe blieb ohne Befund, nun hoffen wir, dass sein Immunsystem selbst den Darm heilt, wir unterstützen lediglich mit natürlichen Produkten.
Er spielt gerne mit den anderen Katzen Nachlaufen, wobei doch deutlich wird, dass er mit dem Sehen einige Probleme hat: Anstelle katzentypisch haarscharf an ihnen vorbeizusausen, verschätzt er sich doch öfter und landet in der anderen Katze- gottlob sind unsere Perser sehr stoisch und nehmen es gelassen.
Auch das Springen auf die Arbeitsplatte, als ich Futter richtete, ging arg daneben, offensichtlich klappt es mit dem räumlichen Sehen gar nicht. Immerhin ist er clever und versucht es nun auf einem anderen Weg- er krallt sich an meiner Jeans hoch.
Seitdem er bei uns ist, haben wir alle Tierarztkosten für Pomi übernommen, trotzdem bleibt der Grenzenlosen Hundehilfe aus der Zeit davor ein grosses Defizit. Es wäre toll, wenn das noch durch Spenden gestopft werden könnte, um anderen Tieren helfen zu können.
Pomi sagt schon mal danke...
Liebe Grüsse Britt und Chris
Anmerkung von der Grenzenlosen-Hundehilfe:
Wir möchten uns nochmals ganz ganz herzlich bei der Pflegestelle von Mr. Pomeroy bedanken. Wirklich super, wie durch euer Engagement, euren Einsatz, eure Fürsorge, aber vor allem auch eure finanzielle Unterstützung (alle aktuell anfallenden TA-Kosten wurden von der Pflegestelle selbst bezahlt!!) aus dem todkranken Kater ein so glückliches und zufriedenes Kerlchen geworden ist. Ohne solch tolle Pflegestellen wäre Tierschutz in dieser Form nicht möglich. Vielen Dank!!!
Allerdings, liebe Homepagebesucher, sind wir erneut auf Eure Unterstützung angewiesen. Denn die Behandlungen von Pommy in der Tierklinik müssen bezahlt werden und die nächsten Notfälle warten schon...
Bitte helft uns, damit wir den Tieren helfen können...!! |


|
| 17. Januar
2011 |
Ganz allmählich geht es bergauf, allerdings hatten wir vergangene Woche einen Rückschlag: Letzten Donnerstag war ich mit ihm beim TA, weil sich sein linkes Auge über Nacht völlig entzündet hatte, auch eine Folge des Katzenschnupfens.
Die Hornhaut hatte ein kleines Geschwür, war aber gottseidank noch intakt, die Augenlider tiefrot geschwollen.
Dem Kleinen ging es überhaupt nicht gut damit, er kniff das Auge zu und war extrem lichtscheu.
Der sehr versierte Tierarzt stellte dann die Entzündung fest. Eine traurige Überraschung wartete auf uns, als der TA auch das rechte Auge untersuchte: Dieses hat keine Pupillenreaktion, es sieht nach einer alten Netzhautablösung aus. Das rechte Auge ist also blind und umso wichtiger ist es, das linke Auge zu bewahren.
Wir bekamen dann Augensalbe und Schmerzmedikamente und die heutige Kontrolle war richtig gut: Die Entzündung hat sehr nachgelassen und die Lichtempfindlichkeit ist verschwunden. Natürlich müssen wir noch einige Zeit weiter behandeln, aber es sieht sehr gut für das Auge aus.
Gute Nachrichten haben wir auch: Er frisst super, wog letzten Donnerstag 3 Kilo und hat in den letzten 4 tagen nochmal 200 Gramm zugelegt, wiegt jetzt 3,2 kg. Das Lysin wirkt klasse, er schnoddert nicht mehr, folglich ist die Nase frei, er bekommt besser Luft und ist nicht mehr verklebt, was seinem Wohlbefinden gut tut. Niesen tut er immer noch, aber er kriegt richtig gut Luft.
Heute sass er im Wintergarten und schaute interessiert den Vögeln draußen zu. Überhaupt wird er aktiver und neugieriger. Allerdings verzichte ich diesmal auf Fotos, einen Blitz möchte ich ihm nicht zumuten.
Liebe Grüsse
Die Schweizer mit Mr. Pomeroy |
|
| 11. Januar
2011 |
Mr. Pomeroy, kurz Pomi, kämpft weiter
Er frisst immer noch beachtlich viel, allerdings nicht mehr so masslos wie am Anfang, und es ist zu spüren, dass der Kleine zugelegt hat. Auf die Rippen legt sich langsam ein dünnes Polster. Pomi verbringt die Zeit mit fressen und viel schlafen, dies bevorzugt zusammengerollt auf dem Schoss. Man merkt, dass er noch sehr viel Ruhe braucht, dies allerdings bevorzugt in menschlicher oder tierischer Gesellschaft. Sein Schnupfen ist immer noch sehr schlimm. In Absprache mit unserem Tierarzt werden wir die Antibiotikabehandlung, die 14 Tage gedauert hat, nicht weiter verlängern, da sie nicht gegen die ursächlichen Viren wirkt. Er schnoddert immer noch heftig und folglich wäre sein Gesichtchen ohne Pflege völlig verklebt. Da der Schleim so zäh ist, bekommt er nun einen Schleimverdünner in der Hoffnung, dass er den Schleim dann schlucken kann und er ihn nicht so quält. Gleichzeitig haben wir mit L-Lysin in grosser Dosierung angefangen. Das verhindert, dass sich die Viren an gesunde Zellen andocken können. Damit haben wir bereits bei unser Shasha grosse Erfolge erzielt. Er ist wirklich ein Kämpfer, sucht die Nähe, zieht sich nicht zurück und erträgt auch die Pflege mit stoischer Geduld. Grade das Reinigen des Gesichts ist nicht angenehm, da durch das Verkleben auch die Haut wund wird. Sicherlich wird es noch lange brauchen bis er wirklich ein fitter Kater ist, aber wir sind sehr zuversichtlich, dass er es schafft und im Frühling mit den anderen den Garten geniesst. |

|
| 4. Januar
2011 |
Neurone/ Mr. Pomeroy geht es besser und besser und wir hoffen, dass er die tierärztlichen Untersuchungen nun wirklich alle hinter sich hat.
Doch die Kosten für die stationäre Unterbringung in der Klinik, die Behandlungen und Untersuchungen haben insgesamt 1.200 Euro gekostet!
Bitte helfen Sie uns, wir bitten um Spenden. Herzliches Dankeschön!
Denn es hat sich gelohnt: Mr. Pomeroy hat seine Chance genutzt! |
|
| 2. Januar
2011 |
Für Neurone hat das Jahr 2011 ganz
toll begonnen!
Er durfte an Silvester auf eine Pflegestelle
umziehen und fühlt sich dort total wohl.
Neurone heißt nun Mr. Pomeroy (vom Sketch
"Dinner for one")...
Mit den anderen Katzen in der Pflegestelle
hat er überhaupt keine Probleme. Er kuschelte
sich gleich zu den anderen Katzen ins Körbchen.
Neurone zeigte von Anfang an auch gar keine
Scheu gegenüber den Hunden. Und er hat
gleich schon einen neuen Freund gefunden:
Uhlan/ Paule aus Colmar
(siehe Fotos!)
Das größte Problem war, dass Neurone
in der Tierklinik weder Fressen noch Trinken
wollte. Doch schon am ersten Tag hat er Wasser
aus dem Napf getrunken und sogar ein winziges
Stückchen Hackfleisch gefressen - Ein
riesiger Fortschritt!!
Ein Bericht der Pflegestelle:
"Mr. Pomeroy hat grade eine Scheibe Schinkenspeck
und 2 Brocken Rinderhack gefressen. Der Trick:
Man muss es werfen :D
JA JA JA...
er frisst und frisst und frisst...
Zuerst flog Trockenfutter und er jagte hinterher.
Dann haben wir gebremst, weil wir Sorge hatten,
dass sein Magen das nicht verträgt. Er
bettelte und bettelte und bettelte.
Tja, und nun ist er im Katzenzimmer und vertilgt
grade einen Napf Nassfutter (war eigentlich
für alle) aus dem Napf...
Den Nassfutternapf hat er soeben geleert und
nun ist er ans Trockenfutter gegangen. Himmel,
ob das sein Magen verträgt????
Aber ich lasse ihn, er hat so einen Hunger...
Oh, fängt das neue Jahr schön an...."
Der glückliche Neurone/ Mr. Pomeroy
hat eine tolle Pflegestelle ergattern können,
doch bitte helfen Sie uns die Untersuchungen
und den Aufenthalt in der Tierklinik zu bezahlen.
Vielen Dank! |

|
| 30. Dezember 2010 |
Neurones Schnupfen hat sich ein wenig
gebessert und die Geschwüre auf seiner
Zunge heilen ab.
Die Bluttests sind da, die Bleiwerte sind
momentan noch nicht bedenklich, dass heisst
sein momentan schlechter Zustand beruht nicht
hauptursächlich auf einer Bleivergiftung,
das ist ja schon mal was!
Allerdings besteht in Zukunft kaum die Möglichkeit
ihn von seinen Schrotkugelteilen zu befreien,
die sind zwar auf dem Röntgenbild super
zu sehen, aber man findet sie dann nicht leicht
in der Katze, dazu müsste man das ganze
Weichteil- und Muskelgewebe durchsuchen und
würde gar nicht alles finden.
Neurones Problem sind aber auch momentan
nicht die Kugelteile sondern sein psychischer
Zustand!
Er frisst nicht! Er hat sich aufgegeben!
Er schläft in der Toilette, verkriecht
sich. Wir denken, es ist an der Zeit das sich
jetzt jemand auch um seine psychischen Verletzungen
kümmert,...dann wird er bestimmt wieder
anfangen zu fressen und hat hoffentlich, trotz
Schrot im Körper noch eine schöne
Zeit!
Also alle da Draussen: Daumen- drücken
dass es mit einer tollen Pflege/ Hospizstelle
bald klappt und dass Neurone wieder leben
will!
Und helft uns Neurones Rechnungen zu bezahlen,
Merci!!!
Danke an dieser Stelle auch einmal an das
Klinikteam, das sich immer so gut um unsere
Sorgenkinder kümmert! |
|
| 19. Dezember 2010 |
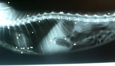
31 Kugeln im Körper!- Neurone geht
es sehr schlecht!
Neurones Allgemeinbefinden ist schlecht. Wir
hoffen er schafft es . Als der Kater untersucht
wurde, entdeckten die Tierärzte auf dem
Röntgenbild, dass Neurones Körper
mit Kugeln förmlich gespickt ist. So
viele Kugeln (bzw Teile) in einem Tier haben
sie bisher noch nicht gesehen.
Was hat dieser Kater schon alles hinter sich.
Er hat eine Schrotladung überlebt, die
ein gemeiner Mensch auf ihn abgefeuert hat,
und nun hat er sich auch noch eine schwere
Infektionskrankheit eingefangen.
Zuerst müssen wir nun die Daumen drücken,
dass Neurone die nächsten Tage überlebt.
Wenn sich sein Zustand stabilisiert hat, können
wir weitersehen, bzw eigentlich müssten
einige der Kugeln aus dem Körper entfernt
werden, aber dazu wären evtl 5 -10 Op`s
nötig um den Grossteil der evtl bleihaltigen
Stücke zu entfernen.
Wie es weitergeht mit Neurone wird also
erst entschieden, wenn er die Infektionserkrankung
hinter sich hat. Wir suchen daher dringend
eine liebevolle, erfahrene Pflegestelle (evtl.
Hospizstelle) die den armen Kater zu sich
nehmen kann, sobald er die Klinik verlassen
kann. Alles weitere wird später entschieden
(Bluttest auf Bleigehalt etc folgt)
Bitte spenden Sie,.. Neurones Leiden sollen
enden und er muss endlich erfahren, dass Menschen
es auch gut mit ihm meinen! |
|
| 14. Dezember 2010 |
Neurone geht es leider gar nicht gut!!
Er hat sich eine schwere Infektion eingefangen.
Sein Zustand ist im Moment noch kritisch,
aber er kämpft tapfer mit!!!
Neurone wird nun stationär in der Tierklinik
behandelt.
Wir hoffen sehr, dass sich sein Zustand schnell
bessert, da er ein gaaanz lieber Schmusekater
ist, der sich einfach nur nach einem warmen
Eckchen auf dem Sofa sehnt.
Erneut sind wir auf Ihre Unterstützung
angewiesen, bitte spenden Sie!
Für Neurone wird nun (nachdem er hoffentlich
ganz bald gesund wird und aus der Klinik entlassen
werden kann) eine Pflege- oder Endstelle gesucht!! |

|
| Dezember 2010 |
Neurone, geb 05/2006, ein
kastrierter Kater.
Auf den Fotos ist er noch ein wenig "neben
sich" durch die Narkose, er mag nicht
in die Kamera schauen.
Ein ganz lieber süsser Kater - neue Fotos
folgen und weitere Informationen ebenso! |
|
|
| Beachten Sie bitte, dass diese Seiten nicht
dazu gedacht sind, Tiere über das Internet
zu bestellen! Die Vermittlung der Tiere erfolgt
ausschließlich über die genannte Kontaktadresse
oder direkt über die Tierheime. Außerdem
beachten Sie bitte, dass wir bei der Beschreibung
der Tiere auf die Einschätzung der Vorbesitzer
oder Betreuer angewiesen sind und wir keine Gewähr
übernehmen können! |
|
|